SUIVI DES GRANDS DAUPHINS
LA PHOTO-IDENTIFICATION
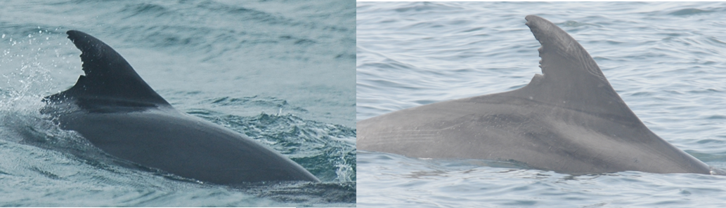
Depuis 2004 nous effectuons un suivi de la population de grands dauphins (Tursiops truncatus) du golfe normano-breton. Celle-ci constitue la plus grosse population résidente de grands dauphins d’Europe, avec une estimation entre 400 et 500 individus. Ce travail s’effectue en particulier via la photo-identification. Cette méthode, non invasive, consiste à photographier les ailerons des dauphins sur lesquels vont se trouver des marques nous permettant de les distinguer les uns des autres. Ces marques sont principalement liées à leurs interactions sociales (jeu, bagarress, etc.) et peuvent donc évoluer tout au long de la vie de l’individu. Par conséquent, les jeunes ne sont pas marqués, et donc pas identifiables, ils sont dits « lisses »; puis avançant dans l’âge, ils vont, petit à petit, se marquer d’encoches, traces de morsures et autres signes distinctifs, comme des décolorations ou des pigmentations distinctes.
Captures et recaptures
La première photo prise d’un dauphin constitue la « capture », la première fois où il est intégré au catalogue, puis toutes les photos prises par la suite où il est possible de reconnaître cet individu sont les « recaptures ». Ces marques pouvant évoluer tout le long de la vie du dauphin, il nous faut donc réussir à le prendre en photo régulièrement pour pouvoir être capables de le reconnaître.
Individus très peu marqués, dits « lisses », Individus marqué et donc identifiable, Individus très marqués. © Association AL LARK
Individu observé le 03/09/2006 et « recapturé » le 26/06/2012. © Association AL LARK
En 2019, nous avons commencé l’analyse des données de terrain : données GPS, données météorologiques, données environnementales (bathymétrie, marée, température de l’eau, etc.) avec le travail d’une stagiaire en 1ère année de Master, Oihana Olhasque. Et voici les rapports consécutifs aux différents stages qui ont eu lieu au sein de notre association.
